La version française suit
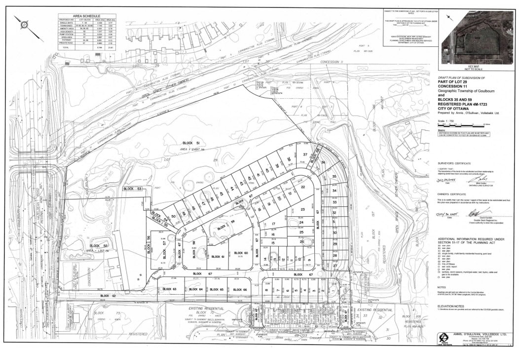
The City of Ottawa has received a Zoning By-law Amendment and Plan of Subdivision application for the property located at 560 Hazeldean Road, located on the south side of Hazeldean Road, approximately halfway between Terry Fox Road and the future Robert Grant Avenue. It is the current location of the Kevin Haime Golf Centre.
The proposal from Regional Group / EQ Homes is to rezone the site from “Agricultural, Rural Exception 263” to permit future residential and non-residential land uses as well as an open space area next to the Carp River.
More information about the proposal is available on the City’s DevApps site:
Zoning By-law Amendment
The Zoning By-law Amendment has been submitted to rezone the lands from Agricultural, Rural Exception 263, to Residential Third Density, Subzone Z – R3Z, Arterial Mainstreet Zone – AM, and Parks and Open Space, Subzone R – O1R.
The Third Density Subzone Z will allow for the development of 98 dwelling units, including 50 detached dwellings and 48 townhouse dwellings.
The Arterial Mainstreet Zone is proposed to apply to the northern portion of the site along Hazeldean, for which a future Site Plan Control application will be submitted to construct a residential/mixed-use development block.
The Open Space is proposed to apply to the eastern portion of the site, abutting the Carp River, and includes a pathway connecting to the existing Carp River pathway to the north.
Plan of Subdivision
The Plan of Subdivision application is proposed to establish future lots, blocks, and private roadways as part of the overall development.
What’s next
This development has not been approved. City staff are reviewing the proposal, as are the Councillor and his team. The file also needs to go through Planning and Housing Committee and City Council for approval.
The applicant will need to submit a Site Plan Control application for the mixed use residential building fronting Hazeldean Road.
Stay informed
Register for future notifications about this application and provide your comments by contacting John Bernier at 613-580-2424, ext. 71576 or john.bernier@ottawa.ca and including File No. D02-02-25-0059 & D07-16-25-0014 in the subject line. You can copy Councillor Glen at glen.gower@ottawa.ca.
Deadline for comments is November 6, 2025. Please note, comments will continue to be accepted and considered after the initial comment period due date noted above. However, comments received after the above date may not be reflected in the staff report.
560, chemin Hazeldean — Demande de modification du Règlement de zonage et du plan de lotissement
La Ville d’Ottawa a reçu une demande de modification du Règlement de zonage et de plan de lotissement pour la propriété située au 560, chemin Hazeldean, du côté sud du chemin Hazeldean, à peu près à mi-chemin entre la promenade Terry-Fox et la future avenue Robert-Grant. Il s’agit de l’emplacement actuel du Centre de golf Kevin Haime.
La proposition de Regional Group/EQ Homes consiste à reclasser le site, actuellement désigné « zone agricole, exception rurale 263 », afin de permettre l’utilisation des terrains à des fins résidentielles et non résidentielles ainsi que la création d’un espace vert à côté de la rivière Carp.
Vous trouverez de plus amples renseignements sur la proposition dans le site DemDam de la Ville.
Modification du Règlement de zonage
La modification du Règlement de zonage a été soumise afin de reclasser les terrains actuellement désignés « zone agricole, exception rurale 263″, en zone résidentielle de densité 3, sous-zone Z – R3Z, zone d’artère principale — AM ainsi que zone de parcs et d’espaces verts, sous-zone R — O1R.
La sous-zone Z de densité 3 permettra la construction de 98 logements, dont 50 maisons individuelles et 48 maisons en rangée.
La zone d’artère principale est proposée pour la partie nord du site, le long du chemin Hazeldean, pour laquelle une demande de réglementation du plan d’implantation sera soumise en vue de la construction d’un îlot résidentiel ou à usage mixte.
Il est proposé que la zone d’espaces verts s’applique à la partie est du site, en bordure de la rivière Carp.
Plan de lotissement
La demande de plan de lotissement vise à établir les lots, les îlots et voies privées dans l’aménagement dans son ensemble.
Prochaines étapes
Ce projet n’a pas été approuvé. Le personnel de la Ville examine la proposition, tout comme le conseiller et son équipe. Le dossier doit également être soumis à l’approbation du Comité de la planification et du logement et du Conseil municipal.
Le requérant devra soumettre une demande de réglementation du plan d’implantation pour l’immeuble résidentiel à usage mixte donnant sur le chemin Hazeldean.
Restez informés
Inscrivez-vous pour recevoir des avis au sujet de cette demande et transmettre vos observations en communiquant avec John Bernier au 613-580-2424, poste 71576, ou à john.bernier@ottawa.ca et en inscrivant les numéros de dossier D02-02-25-0059 et D07-16-25-0014 dans la ligne d’objet. Vous pouvez aussi envoyer une copie à glen.gower@ottawa.ca.
La date limite pour soumettre des commentaires est le 6 novembre 2025. Veuillez noter que les commentaires reçus après la date limite mentionnée ci-dessus seront acceptés et pris en considération. Toutefois, il se peut qu’ils ne soient pas pris en considération dans le rapport du personnel.


